Hydrography

Uncertainty below the water line can prevent the most optimal and safe use of water bodies and associated infrastructure. Hydrographic surveys can help asset owners and operators make better decisions to improve the whole-of-life performance of their assets by providing data and insights.

At Veris, our hydrographic expertise extends beneath the water line right to the sea floor. Whether a dam requires a volumetric analysis, a shipping channel requires mapping to ensure continuity of navigation, or an underwater bridge footing needs inspection, our team has the relevant experience, technology and equipment to deliver. We operate advanced multi-beam and side-scan sonar for challenging water conditions and are certified for both inland and offshore operations. A powerful dual-axis 3D scanning sonar system can also provide our clients with a unique high-resolution 3D mapping solution for inspection and monitoring of critical underwater assets.

Fully certified2
Fully certified and licensed

Reduce risks and have confidence in the delivery of key project outcomes with our survey crews that are certified for both inland and offshore operations, including Level 1 & 2 Certified Professional Hydrographic Surveyors and fully licensed Coxswains.

Hydro Technology2
Latest-generation technology and software

We deploy the latest-generation technology including multi-beam sonar and accompanying software to produce highly accurate, dense point clouds of the sea floor, providing an unrivalled level of accuracy and workflows you need to make better decisions.

Hydro Above Below
Above and below the waterline

Get the full view of your asset, above and below the waterline, by combining our expertise in hydrographic surveys with our industry leading capabilities in LiDAR, photogrammetry, mobile mapping and UAV surveys.

Our Services

Our range of hydrography services include:

  • Underwater digital terrain models and cartography
  • Volumetric and silting calculations
  • Bridge footing inspections including scouring and undermining
  • Underwater photogrammetry
  • Dam wall inspections
  • Pipeline and asset inspection
  • Dredging support
  • Underwater modelling and visualisation.

...

Hydro Services

Applications

Hydrography Application Basin new
Turning basin with contours and shoreline overlay

Veris operates high resolution multibeam sonar systems that produce dense point clouds of the sea floor. This system can produce 0.25m by 0.25m point grids, and meet the IHO bathymetry standards for special order and Class A.

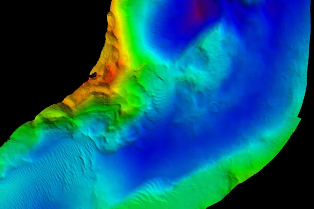
Hydrography main
Dam storage capacity survey

To determine the storage capacity of dams and other water bodies, multiple forms of data capture from above and below the waterline including sonar, terrestrial LiDAR and UAV photogrammetry can be deployed to develop a 3D model.

Hydrography Application Bridge new
Underwater bridge condition surveys

Underwater scanning services using sonar can be used to develop 3D point clouds for more efficient design of remediation works.

3D Modelling & Visualisations

We’re leaders in spatial data capture and applications that enable actionable insights and better decision making. Our Digital & Spatial team can convert multi-beam and sonar systems captured by our hydrographic surveys into 3D models and visualizations.

Find out more

Secure, cloud-based data delivery and visualisation platform

Our secure cloud-based data delivery and visualisation platform, 3SiDe, allows you to easily access, interrogate and download your 3D data from the cloud to your desktop through a web browser. 3SiDe is available under our Data-as-a-Service subscription model.

Find out more